Tag

Hurricane Ian

All articles tagged with #hurricane ian

"Persistent Battle: Man's Rare Infection Post-Hurricane Ian"
health1 year ago

"Persistent Battle: Man's Rare Infection Post-Hurricane Ian"

A Lee County man continues to battle a rare mycobacterial infection following Hurricane Ian, which flooded his neighborhood and created a perfect storm for infection after he received injections for carpal tunnel syndrome. The unique pathogen took months to identify, and he's still undergoing a complicated combination of antibiotics, with the course of therapy expected to take another year. Thanks to the efforts of an infectious disease specialist, his hands are healing, and the recovery is in progress.

real-estate2 years ago

Florida Snowbird Haven Hit Hard by Soaring Home Insurance Rates

Homeowners in Florida's southwestern coast, known for its fast growth and affordable housing, are struggling to sell properties due to soaring home insurance rates, exacerbated by Hurricane Ian in 2022. This has led to falling home prices and a buyer's market, impacting the region's real estate industry. The insurance crisis, along with high mortgage rates and a surge in multi-family residential projects, has contributed to the decline in housing demand and affordability, prompting some residents to seek less costly areas.

Rebuilding Lives: Reflections on Hurricane Ian's Impact and Recovery
natural-disasters2 years ago

Rebuilding Lives: Reflections on Hurricane Ian's Impact and Recovery

A year after Hurricane Ian devastated Fort Myers Beach, Florida, residents are grappling with the question of what kind of town will emerge from the wreckage and who will get to call it home. The storm submerged the barrier island under nearly 14 feet of storm surge, destroying or damaging almost all of its buildings. While some properties have been rebuilt and property sales have accelerated, many residents, particularly those in low-income and work force housing, have been unable to return due to financial constraints and inadequate insurance payouts. The town's recovery has sparked debates about preserving its unpolished charm and diverse population, as well as the impact of climate change on future hurricanes and the feasibility of rebuilding in vulnerable coastal areas.

Survivors of Hurricane Ian prepare for Hurricane Idalia: What you need to know
natural-disasters2 years ago

Survivors of Hurricane Ian prepare for Hurricane Idalia: What you need to know

Residents of Pine Island, Florida, who are still rebuilding their homes after Hurricane Ian, are now anxiously preparing for Hurricane Idalia. Survivors of Hurricane Ian are scrambling to secure their homes and praying that Idalia doesn't hit their area. Many residents are still living in temporary accommodations and fear losing everything again. Despite their resilience, they still need help and support.

Florida Governor Ron DeSantis prepares for Hurricane Idalia's impact on mobile homes and campaigns.
natural-disasters2 years ago

Florida Governor Ron DeSantis prepares for Hurricane Idalia's impact on mobile homes and campaigns.

Florida Governor Ron DeSantis praised the resilience of mobile homes during Hurricane Ian and suggested that they might be sufficient shelter for those not in the direct path of the storm's eyewall. While newer manufactured homes could likely withstand tropical storm-force winds or a Category 1 hurricane, DeSantis acknowledged that major hurricanes may pose a different challenge. He also noted that some areas, particularly in the Big Bend region, have issued directives for people in mobile homes to evacuate to safer locations. DeSantis has previously highlighted how newer construction tends to fare better than buildings constructed in the 1970s and 1980s during hurricanes.

"Florida's Hurricane Ian survivors face double blow: Heat wave and repair costs"
climate-change2 years ago

"Florida's Hurricane Ian survivors face double blow: Heat wave and repair costs"

Survivors of Hurricane Ian in Florida are facing a "second disaster" as they endure record-breaking heat and humidity. The extreme heat has compounded the challenges faced by those who lost their homes and possessions in the hurricane, making it difficult to find stable housing and exacerbating health issues. The heat has also affected the availability of affordable housing, with many elderly residents unable to leave the area due to the loss of their community. The combination of hurricanes and extreme heat highlights the increasing frequency and severity of climate-intensified threats, disproportionately impacting vulnerable communities.

natural-disasters2 years ago

Florida residents still facing challenges 8 months after Hurricane Ian.

Eight months after Hurricane Ian hit Florida, many residents are still struggling to recover and find housing. The upcoming hurricane season adds to the stress, with piles of debris and ongoing construction work across the region. Insurance payouts and federal aid have been slow, leaving many homeless or living in tents and campers. The total insured loss from Ian in Florida was almost $14 billion, with more than 143,000 claims still open without payment or claims paid but not fully settled as of March 9. Despite the challenges, many survivors remain hopeful for the future.

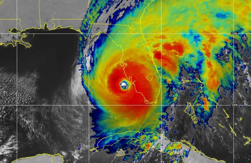
Hurricane Ian briefly reached Category 5 strength before Florida landfall.
natural-disasters2 years ago

Hurricane Ian briefly reached Category 5 strength before Florida landfall.

Hurricane Ian briefly intensified to a Category 5 storm with winds of 161 mph in the Gulf of Mexico before making landfall on Florida's southwest coast with sustained winds of 149.6 mph. Water caused 94% of the 66 deaths directly attributed to Ian in Florida, with storm surge causing 41 deaths and rainfall causing 21 deaths. The storm produced 10-20 inches of rainfall across much of Florida and caused 15 tornadoes.

Hurricane Ian Upgraded to Rare Category 5 Before Landfall.
natural-disasters2 years ago

Hurricane Ian Upgraded to Rare Category 5 Before Landfall.

Hurricane Ian, which made landfall in southwest Florida in September, has been reanalyzed and recategorized as a rare Category 5 with 161 mph winds, making it one of the costliest storms in U.S. history. The storm caused at least 156 deaths in the United States, with 66 directly caused by the storm, and caused nearly $113 billion in damage. Climate scientists say that more hurricanes have been rapidly intensifying in recent years because of warming waters caused by climate change, making them harder to forecast and leaving less time to prepare for their impacts.

natural-disasters2 years ago

Hurricane Ian Upgraded to Category 5 Before Florida Landfall

Hurricane Ian briefly reached maximum Category 5 status before weakening to a Category 4 storm as it blasted ashore last September in southwest Florida, eventually causing over $112 billion in damage in the U.S. and more than 150 deaths directly or indirectly, the National Oceanic and Atmospheric Administration reported Monday. The report, which NOAA releases for all major tropical storms, also says Ian was the costliest hurricane in Florida history and the third-costliest ever in the U.S. as a whole.

Hurricane Ian Reaches Category 5 Before Hitting Land.
weather2 years ago

Hurricane Ian Reaches Category 5 Before Hitting Land.

Hurricane Ian reached Category 5 intensity just before its September landfall in Southwest Florida, according to a report from the National Hurricane Center. The storm intensified further after passing over western Cuba and the Dry Tortugas as a Category 3 and reached its peak intensity of 140 knots on Sept. 28. However, the report notes that there is very little practical difference between a 140-kt Category 5 and a 135-kt Category 4 hurricane in terms of impact.

Drone footage reveals lasting damage from Hurricane Ian on Fort Myers Beach.
natural-disaster2 years ago

Drone footage reveals lasting damage from Hurricane Ian on Fort Myers Beach.

Aerial footage captured by a drone flown by a visuals journalist for The News-Press shows the scars left behind by Hurricane Ian on Fort Myers Beach, six months after the Category 4 storm hit Southwest Florida, causing catastrophic damage and killing over 160 people. Despite ongoing recovery efforts, the view remains one of a location that was pounded unmercifully by Hurricane Ian's storm surge and winds.

The Lingering Impact of Hurricane Ian on Florida Communities.
natural-disasters2 years ago

The Lingering Impact of Hurricane Ian on Florida Communities.

Six months after Hurricane Ian hit Fort Myers Beach, Florida, the town is still struggling to rebuild. Many homes and buildings were destroyed by the 15-foot storm surge, and slow and inadequate insurance payouts are hurting recovery efforts. However, there are signs of progress, with a few hotels welcoming guests and a new Margaritaville resort set to open later this year. Officials are working to add more workforce housing to the area, as many long-time residents are being forced to sell and leave the island due to the slow recovery. The town's vice mayor vows to have a "functional paradise" by next year.

politics2 years ago

Florida Governor DeSantis Addresses Worsening Insurance Crisis in Fort Myers

Governor Ron DeSantis visited Fort Myers for a Hurricane Ian recovery update and was asked about the thousands of people who have had their insurance policies canceled due to the ongoing insurance crisis in Florida. DeSantis stated that the insurance regulation office is investigating reports of people being unlawfully dropped and that those responsible need to be held accountable. Many homeowners are struggling to find new policies or receive payouts, and rates have tripled for some. The state-run Citizens Insurance is not an option for many, and DeSantis admitted that it has not been solvent.