Hurricane Ian Upgraded to Rare Category 5 Before Landfall.

TL;DR Summary
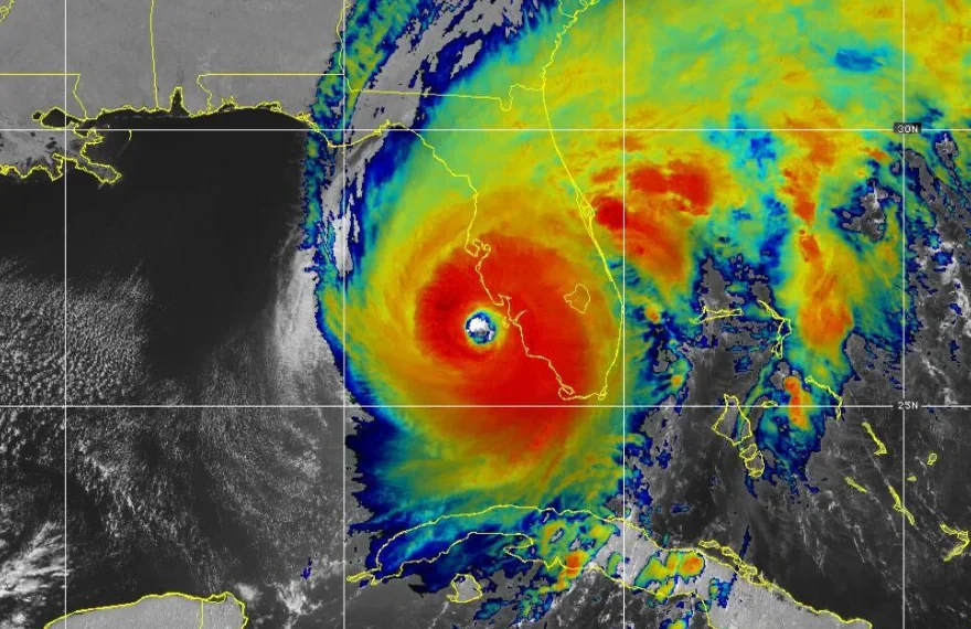
Hurricane Ian, which made landfall in southwest Florida in September, has been reanalyzed and recategorized as a rare Category 5 with 161 mph winds, making it one of the costliest storms in U.S. history. The storm caused at least 156 deaths in the United States, with 66 directly caused by the storm, and caused nearly $113 billion in damage. Climate scientists say that more hurricanes have been rapidly intensifying in recent years because of warming waters caused by climate change, making them harder to forecast and leaving less time to prepare for their impacts.
- Upon further review, Hurricane Ian peaked as a rare Category 5 The Washington Post
- Report: Hurricane Ian reached Category 5 just before landfall Wink News
- NOAA: Ian was Cat 5 before weakening at Florida landfall Yahoo News
- Hurricane Ian 2022 upgraded to Category 5, third costliest in US history AL.com
- Ian posthumously upgraded to Category 5 hurricane WFLA
Reading Insights
Total Reads
0
Unique Readers
0
Time Saved
3 min
vs 4 min read
Condensed
87%
718 → 94 words
Want the full story? Read the original article
Read on The Washington Post