
"Rethinking Hurricane Categories: The Case for Category 6"
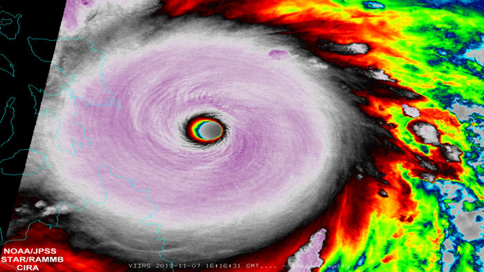
Scientists are proposing the addition of a Category 6 to the Saffir-Simpson scale for hurricanes, as recent storms have surpassed the current Category 5 threshold. Climate change is fueling more intense storms, with the potential for Category 6 hurricanes to become more common. However, some experts argue that adding a new category could lead to confusion and miscommunication about the most significant hurricane risks, such as storm surges and flooding. Instead, they advocate for a focus on communicating these risks more effectively to coastal residents.







