
New Orleans' Katrina Legacy: Memories, Levee Challenges, and Resilience
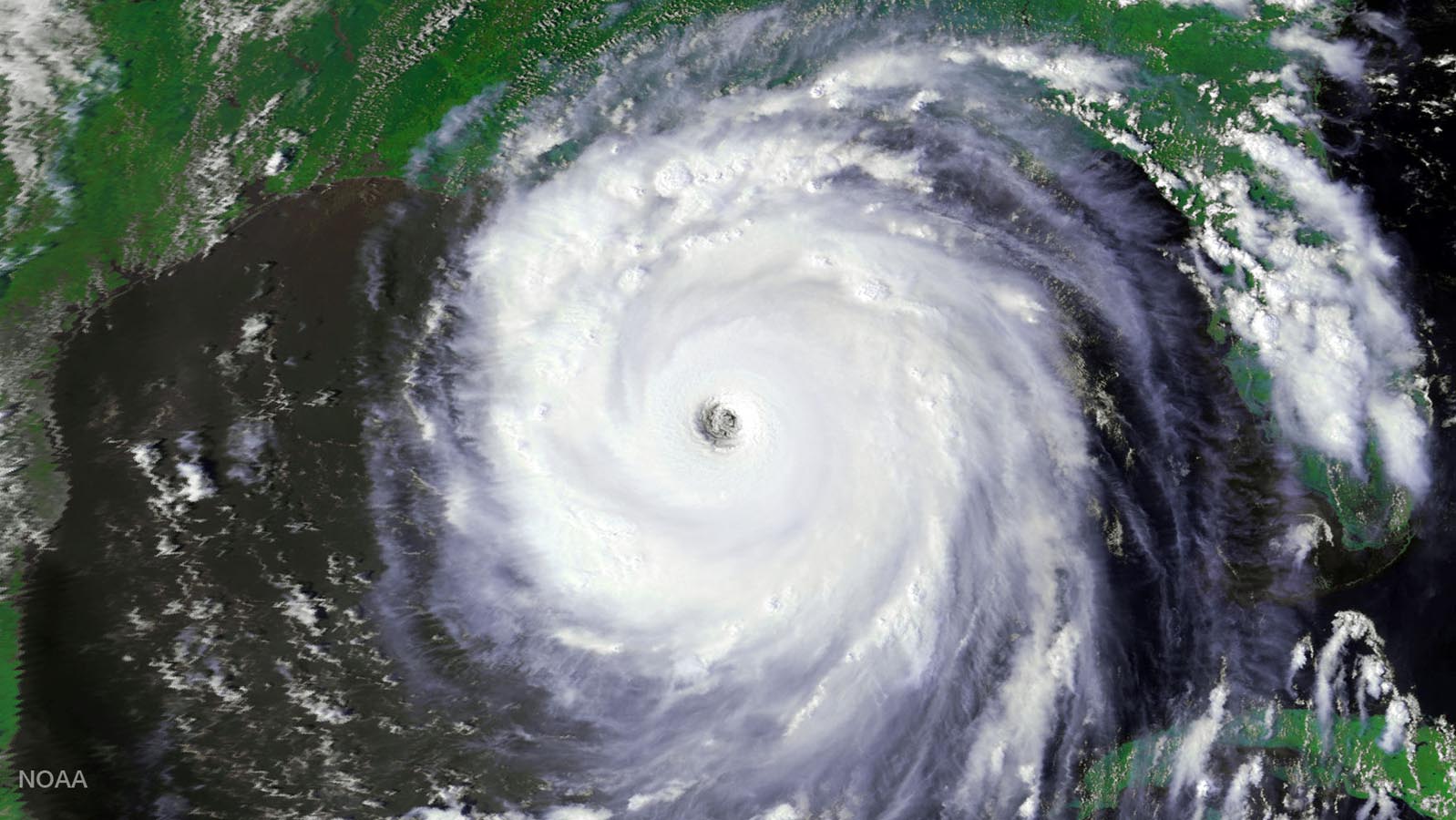
Twenty years after Hurricane Katrina devastated New Orleans, residents from the Ninth Ward share their enduring memories and ongoing struggles with recovery, highlighting personal stories of resilience, loss, and community rebuilding.













