
NOAA Predicts Record-Breaking Hurricane Season
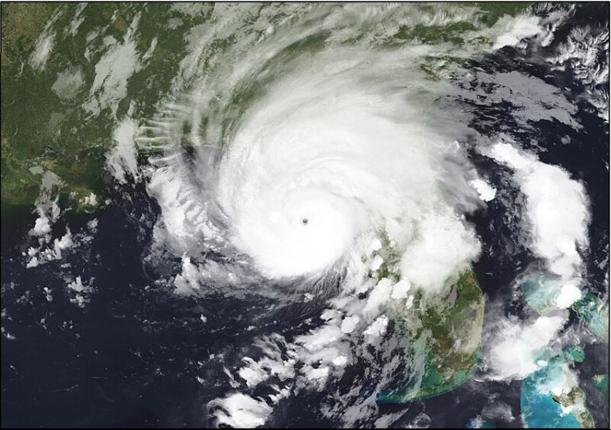
NOAA has issued its most aggressive hurricane season forecast on record, predicting 17-25 named storms, with 8-13 becoming hurricanes and 4-7 potentially major. This hyperactive season is attributed to warm Atlantic waters and a diminishing El Niño. The forecast aligns with other agencies, suggesting a high likelihood of an above-average season, with significant impacts possible for the U.S. and Caribbean.













