
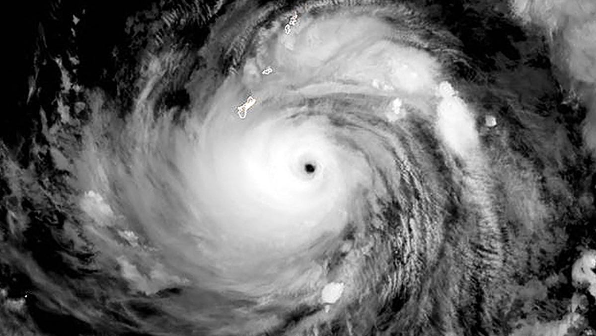
Super Typhoon Mawar wreaks havoc in Guam and Philippines.
Super Typhoon Mawar, the strongest storm on the planet this year, is moving towards Taiwan after hitting Guam. The storm has sustained winds of 165 miles per hour, equivalent to a Category 5 hurricane. The Philippines and Taiwan are warned to keep a close watch on the storm. Despite its strength, Guam escaped with no fatalities, but suffered power and water outages. The storm is expected to peak on Saturday afternoon before losing strength and slowing down mid-week next week.






