
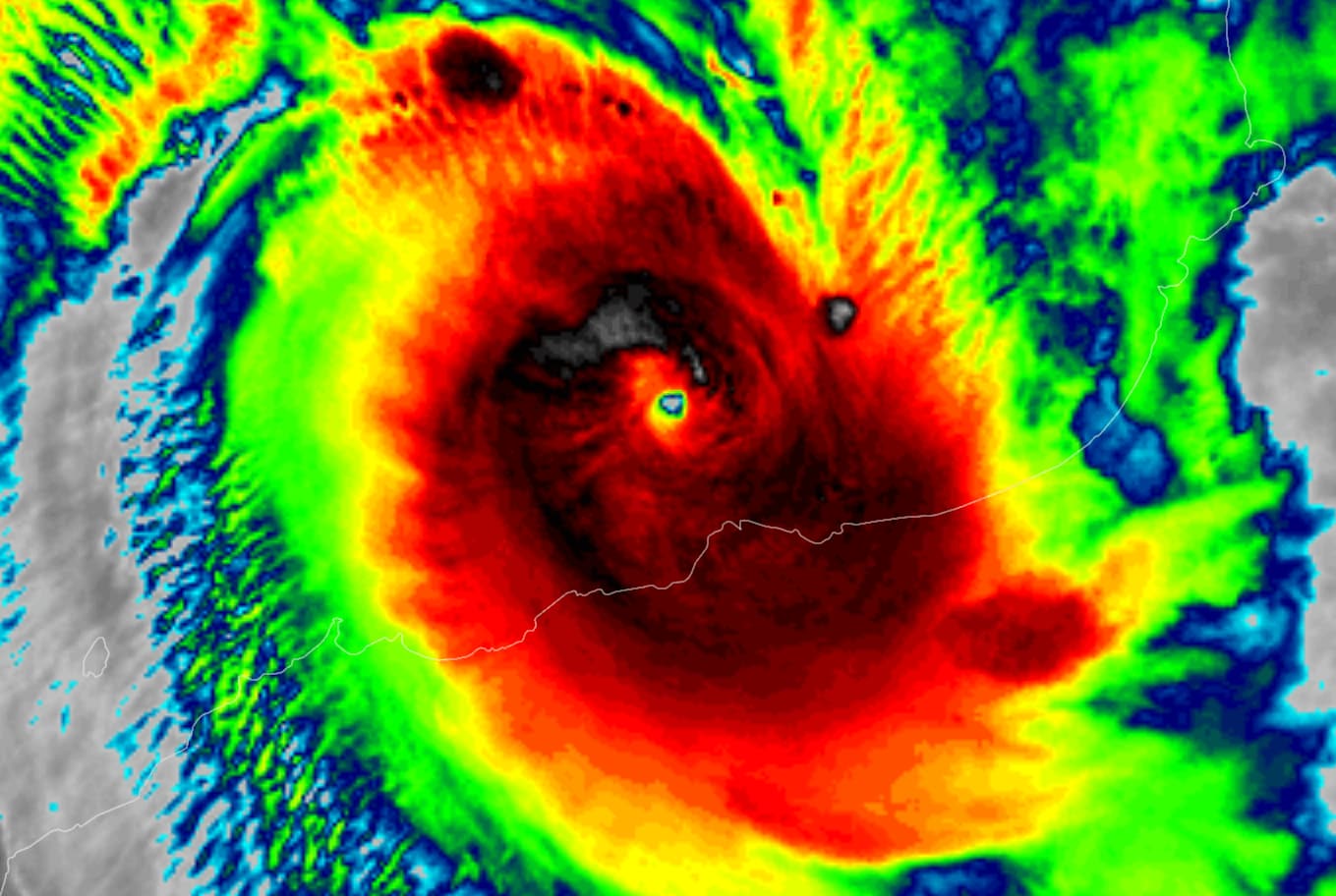
Indonesian Fishermen Rescued After Days Stranded at Sea During Cyclone Ilsa.
Eleven Indonesian fishermen were rescued after spending six days without food or water on a barren island off the northwest Australian coast in the aftermath of Cyclone Ilsa, which made landfall as Australia's most powerful storm in eight years. Two primitive wooden Indonesian fishing boats were caught in the path of the cyclone, with one sinking and eight fishermen feared drowned. The survivors were spotted by the Australian Border Force and taken to Broome Hospital, where they were reported to be in good health despite their ordeal.








