
Tracking the Path of Post-Tropical Cyclone Philippe and its Impact on New England
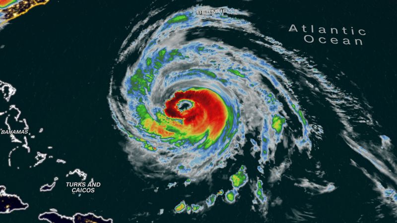
Post-tropical cyclone Philippe is heading towards New England and Atlantic Canada, bringing strong winds and heavy rain. Although no longer classified as a tropical storm, the system could still strengthen and cause flash flooding. Bermuda will experience heavy rainfall and potential flash floods, while New York, New England, and southeast Canada could see one to three inches of rain, with some areas possibly receiving up to five inches. The storm will also generate large swells and dangerous surf along the East Coast.









