"Hurricane Idalia: Approaching Catastrophic Category 4 Landfall on Florida's Gulf Coast"

TL;DR Summary
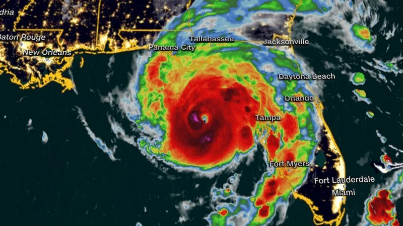
Hurricane Idalia has intensified into a dangerous Category 4 hurricane with winds of 130 mph, set to make landfall on Florida's Gulf Coast. The storm is expected to bring life-threatening storm surge and destructive winds, prompting mandatory evacuations in multiple counties. Power outages have already been reported, and travel has been disrupted with flight cancellations and bridge closures. The National Guard has been deployed, and hospitals have suspended services. The storm is also expected to impact Georgia, South Carolina, and North Carolina.
Topics:top-news#category-4#evacuations#florida-gulf-coast#hurricane-idalia#natural-disasters#storm-surge
- Hurricane Idalia intensifies to a dangerous Category 4 hurricane ahead of its landfall on Florida's Gulf Coast CNN
- IDALIA LANDFALL COVERAGE: Real-Time Wobble Tracker, Interactive Hurricane Q&A | Tracking the Tropics WFLA News Channel 8
- Hurricane Idalia forecast for 6 cities shows where storm will hit hardest - The Washington Post The Washington Post
- People 'need to get out of harm's way': Florida emergency management director ABC News
- Hurricane Idalia now 'catastrophic' Category 4 hurricane approaching Florida landfall Orlando Sentinel
Reading Insights
Total Reads
0
Unique Readers
0
Time Saved
4 min
vs 5 min read
Condensed
92%
979 → 82 words
Want the full story? Read the original article
Read on CNN